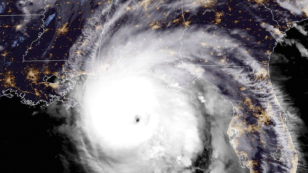
El huracán Michael, con vientos de 220 kilómetros por hora, considerado "extremadamente peligroso", llegará este miércoles a la costa de Florida, un lugar donde miles de habitantes fueron llamados a evacuar.
El fenómeno de categoría 4 -en una escala de 5- podría incluso intensificarse en su recorrido sobre el Golfo de México, confirmó el Centro Nacional de Huracanes (NHC).
"Es un fenómeno potencialmente mortal para las regiones del nordeste de la costa del Golfo de México", indicó el organismo, según consignó la agencia internacional AFP. Cerca de 375.000 personas, en más de 20 condados del estado de Florida, recibieron la orden de evacuar.

Las precipitaciones comenzaron a alcanzar la costa, mientras que se espera una marejada ciclónica de hasta 4 metros en algunas áreas, añadieron desde el centro.
Asimismo, el Servicio Meteorológico Nacional en la capital del estado, Tallahassee, emitió un dramático llamado para que las personas cumplan con las órdenes de evacuación. "El huracán Michael es un fenómeno sin precedentes y no puede compararse con ninguno de los anteriores. No arriesgue su vida, váyase ahora si se le pidió hacerlo", remarcaron.

Michael debería tocar tierra en las próximas horas en esta zona conocida como el "mango" de Florida, cerca de la frontera con Alabama, antes de seguir luego su camino hacia el Atlántico. Podría ser "la tormenta más devastadora que haya afectado Florida en décadas", declaró el martes el gobernador de Florida Rick Scott.
"Es su última oportunidad para prepararse para esta tormenta monstruosa y mortal", agregó el funcionario al precisar que 2.500 soldados de la Guardia Nacional habían sido movilizados.

"Estamos muy bien preparados", indicó por su parte el presidente Donald Trump, que emitió una declaración de estado de emergencia para Florida, lo que permite liberar medios materiales suplementarios y fondos federales. Después de Florida, Michael podría tocar "partes de Georgia y, lamentablemente, otra vez Carolina del Norte y del Sur", ya golpeadas por Florence hace un mes, añadió el mandatario.

La gobernadora del estado vecino de Alabama, Kay Ivey, decretó el estado de emergencia en la tarde del lunes. Las áreas costeras están bajo órdenes de evacuación obligatoria. En el condado de Bay en particular, donde está Panama City y se espera su impacto directo, éstas afectan a unos 120.000 residentes, detalló el alguacil Tommy Ford.
Las autoridades insisten en que, cuando las condiciones sean muy peligrosas, los socorristas no responderán a los llamados de emergencia.
F.D.S./ E.A.